Menampilkan 1-5 dari 5 properti


Medan Tembung, Medan
DIJUAL RUKO STRATEGIS - Jl. Aksara (SD_131) Kesempatan emas untuk investasi atau usaha Anda! 2 Ruko...

Diperbarui 3 jam yang lalu oleh
NOVI YANTI
Independen


Medan Sunggal, Medan
Ruko Dijual Medan Toko + Rumah 2 Lantai Jl Kasuari Sei sekambing medan . SHM elektronik . Luas Tanah...

Diperbarui 1 minggu yang lalu oleh
NOVI (RGPI)



Medan Kota, Medan
- Di Jual Ruko Jl. Semarang - Kawasan Heritage, Pecinan & Kuliner China Town Medan ( Sejak Tahun...

Diperbarui 2 minggu yang lalu oleh
HERI ZAN (ZTNQ)



Medan Perjuangan, Medan
Jual Ruko Jl. Pasar 3 Krakatau Ruko 3½ tingkat Cor Lt 4,3×27,3 mtr Lb 4,3×16,3 mtr Shm Pln 5500 watt...

Diperbarui 4 minggu yang lalu oleh
Limsproperty
Independen


Medan Johor, Medan
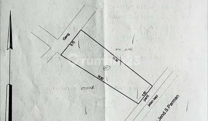
DIJUAL RUKO JALAN KARYA WISATA - DAERAH JOHOR Spesifikasi: 2 KM · 2.5 Lantai Dimensi: 109m2 Luas...

Diperbarui 2 minggu yang lalu oleh
PetaRumah Citraland

Rumah123 adalah situs teknologi jual beli dan sewa properti terdepan di Indonesia, yang hadir sejak tahun 2007 dan telah melayani jutaan orang di Indonesia. Rumah123 senantiasa berkomitmen untuk membuat pengalaman 'Jual Beli dan Sewa Properti Lebih Mudah' dengan dukungan dari developer terkemuka serta agen profesional.
E-commerce dan Platform Online Terbaik BI Awards 2024